{标题追加词1}:新澳门天天免费精准大全谜语动物大和澳门一码一特准确预测:羊、鼠、鸡、蛇和留心欺诈的手段,启发释义、专家解析解释与落实
摘要:本文介绍了新澳门天天免费精准大全谜语动物的相关内容,包括羊、鼠、鸡、蛇等动物的预测。同时提醒公众留心欺诈手段,启发人们理解谜语背后的含义,并邀请专家进行解析解释。文章旨在提高公众对谜语的认知,增强防范意识,确保...
2025全年兔费资料大全跟2025全年免费开奖结果跟39-07-47-43-04-13 T:29和警惕不实的钓鱼钩,前沿释义、解释与落实
摘要:本文提供关于2025年全年兔费资料大全和免费开奖结果的参考信息,涉及特定数字组合如39-07-47-43-04-13等。同时提醒公众警惕不实信息,特别是钓鱼钩等网络诈骗手段。文章还探讨了前沿释义、解释与落实的重...
{标题追加词1}:2025新奥正版免费资本和77777888888免费管家与2025全年免费:龙、羊、马、虎,全面释义、专家解读解释与落实-抵制欺骗的伎俩
摘要:关于2025新奥正版免费资本和特定生肖(龙、羊、马、虎)的全面释义及专家解读,强调抵制欺骗伎俩。内容涵盖免费管家服务及全年免费活动的详细解释与实施方法。提供准确信息,帮助公众理解相关内容,避免受骗。...
澳门管家婆100精准香港谜或2025新门正版免费资本,成果分析、专家解析解释与落实-杜绝虚假诱导链
摘要:,,本文介绍了澳门管家婆100精准香港谜等相关内容,包括2025新门正版免费资本的相关信息。文章还分析了成果,并请专家进行了解析解释。为确保信息的真实性和可靠性,杜绝虚假诱导链,文章内容严谨,旨在为公众提供准确...
7777788888888精准与大三巴一肖一码一特:猪、鼠、虎、马贴切释义、解释与落实-杜绝不实的面具
摘要:,,本文介绍了关于精准与大三巴一肖一码一特的内容,其中包括猪、鼠、虎、马四个生肖的贴切释义、解释与落实。文章强调杜绝不实的面具,提供真实准确的解释和预测。通过深入剖析每个生肖的特点和运势,帮助读者更好地理解并运...
澳门管家婆100精准香港谜或2025新门正版免费资本40-41-08-09-20-43 T:42和远离误导的假承诺,战略释义、专家解析解释与落实
摘要:澳门管家婆提供的精准香港谜或2025新门正版免费资本号码,包括40-41-08-09-20-43以及T:42,需引起注意,应警惕此类信息可能存在的误导风险。对于战略释义、专家解析解释与落实的内容,需要深入理解并...
中美夏威夷会谈最新进展,深化合作,共迎挑战新篇章
中美夏威夷会谈达成深化合作与应对挑战的新共识。双方就未来合作方向进行了深入交流,共同致力于加强各领域合作,推动双边关系不断向前发展。会谈强调了应对全球性挑战的重要性,双方将携手合作,共同应对全球性问题和挑战。此次会谈...
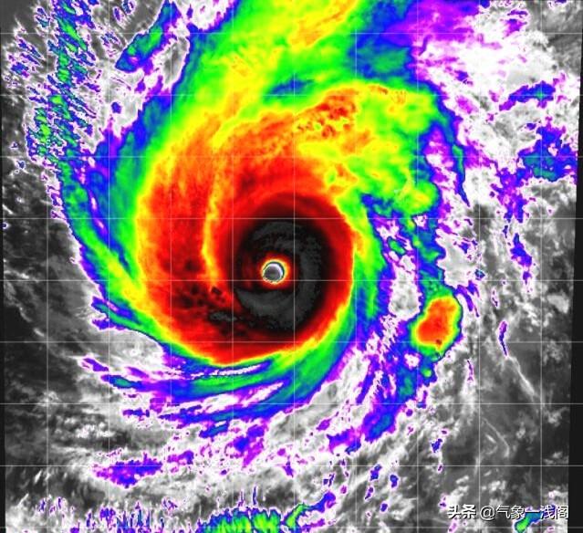
台风7号路径图及预测、防范与应对措施全解析
摘要:根据最新台风7号路径图,相关部门进行了预测和防范措施。目前,气象部门密切关注台风动态,及时发布预警信息。为应对台风可能带来的影响,各地政府和相关部门已启动应急预案,加强值班值守,确保人民群众生命财产安全。公众也...
宝鸡新动向与发展展望,最新头条消息速递
宝鸡市最新动态和发展展望,城市新动向引人注目。随着城市不断发展和进步,宝鸡市正迎来新的发展机遇。该城市将继续加强基础设施建设,推动产业升级和转型,促进经济发展。注重生态环境保护,提升城市品质和形象。这座城市的发展潜力...
最新A股预测消息与市场走势深度解析
摘要:根据最新A股预测消息,市场走势呈现积极态势。分析显示,行业领军企业表现强劲,投资者信心逐渐增强。市场趋势向好,但投资者仍需谨慎,注意风险控制。建议投资者关注行业热点和基本面变化,做好个股选择,以实现投资回报。...











沪公网安备22000000000001号
沪ICP备22000001号